본문 바로가기
책갈피

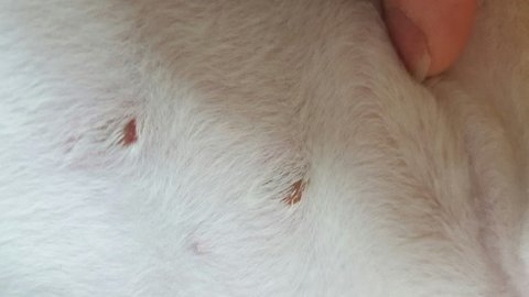
저희 집고양이가 미용 후 상처가 나있어요. (사진 유)

미릉 |2015.12.03 13:14
조회 723 |추천 0

저희 집 고양이가 미용 후 알수없는 상처가 생겼어요.


너무 놀래서 병원에 가서 다시 진찰을 받았는데, 미용사는 미용할 때 전혀 상처가 나지 않았었다.

라고 말하고 있고요. 의사는 병원을 대표로 해서 저희가 절대 한 것이 아니며, 이해 부탁 드린다고. 하고 있습니다.

의사 말 즉, 자극적인상태에서 그루밍을 하다보면 그렇게 상처가 깊게 생기기도 한다고 하더군요.

말이 되나요? 너무 그러기엔 상처가 심합니다.


마취미용을 했는데.. 깨보니까 애는 밥도 안먹고 힘들어했습니다.

도와주세요. 병원측에서 제가 어떻게 대응을 해야할지 정말 하나도 모르겠고

화가납니다...도와주세요

 

 

 

추천수0
반대수0

공감많은 뉴스 시사

더보기

뉴스 플러스