본문 바로가기
책갈피

밀양보호소 장애견 마린이

엄지영 |2017.03.17 11:47
조회 1,323 |추천 18

#유기견 #밀양보호소장애견 #마린이 #임보 #공유

밀양보호소에서 올라온 장애견 마린이.

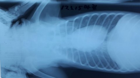
어제 오후 여러 후원자분을 만나 마린이가 씨티와 엠알아이를 찍었습니다.

씨티와 엠알아이 찍기전 기본 혈액검사랑 엑스레이 촬영을 하였고 쪽 앞발 척골이라는 부위에 골절 있으나 수술은 안해도 될 것 같다고 하시네요.
제사한 결과는 내일정도 소식이 오는데로 올려드리겠습니다.

마린이가 앞다리는 안쓰고 뒷발로만 설려고 노력을 한다고 합니다.

어제 엑스레이 촬영상 왼쪽 앞발 철골이라는 부위에 골절이있었는데 수술할정도로 심각하진 않다고 하세요.

살겠다고 주는 사료도 잘먹고 약도 현재 잘먹고 있다고 합니다.

그리고 또 우리 마린이가 강아지 친구를 많이 좋아하는것 같습니다.

병원내 강아지 친구를 만나 우리 마린이 스스로가 서려고하는 모습을 처음으로 보여줬습니다. ^^

마린인 현재 경추신경 손상이 되었는데 오래된 병변인것 같고 내일정도 되야 정확한 진단을 할 수 있을것 같다고 하시네요.

우리 마린이 작은 희망이라도 안을 수 있도록 여러분들의 따뜻한 관심과 응원 부탁 드리겠습니다.

 

우리 마린이..
다시 서고..걸어
새로운 가족의 꼭.. 만날 수 있도록 해주고 싶습니다.
마린이에게 최선의 선택을 할수 있도록 많은 관심 부탁드립니다.
현재 마린이는 성남 연계병원에 있으며 지속적인 치료를 위해 수도권 임보처가 절실히 필요합니다.

임보문의 010 9109 4461

추천수18
반대수1

공감많은 뉴스 시사

더보기

뉴스 플러스